Bob Bethke show contact info
. We will not answer texts. Too many SCAMMERS.
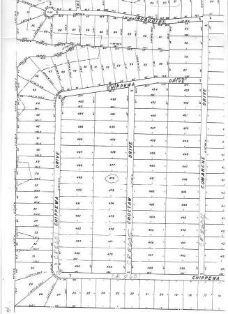
WE HAVE 3 LOTS in Pittsburg, TX THAT ARE JUST UNDER 1/2-ACRE rectangular properties within a "stone's throw" of lake Bob Sandlin. Perfect for vacation getaway or retirement.
1. Lot No. 476 is on a slope located on Choctaw Drive, County Road 2605 is $10,000.
2. Lot number 330 has a creek running through it on Cherokee Drive, County Road 2600 is $8000.
3. Lot No. 428 is on Comanche Drive, County Road 2604 is $10,000.
All 3 lots are in section 1. I believe there are 4 sections in Thunderbird Point. You will want to see the Thunderbird Point Deed of Restrictions and Association Bylaws: https://thunderbirdpoint.com/. We have plot plans to find them that we will send you upon request.
This is a booming area with homes being built nearby by a developer. Build your cabin or put a new single or doublewide manufactured home on it for less than $50,000 installed. It will have to be no more than seven years old. All utilities available. A free pool and boat ramp included with your $250 HOA annual dues. The Barefoot Marina store is down the road. All lots are on paved roads. A new boat dock and ramp has just been completed in 2021.
Right now, the Internet is being installed in Thunderbird Point.
WE ALSO HAVE 4 CAMPER LOTS that total 1/4 acre on a pond (Thunderbird Lake, section 2) with a dock for $50,000.
This is income producing property. Each camper lot can be rented for $500/month. Many people would like to buy an RV for $600 per month and stay by this beautiful lake. Total rent for a half year would be $12,000. And in 4.16 years you have paid for the property. So HERE IS A WAY TO RETIRE: buy one of the 1/2-acre properties to live on for $8-10,000; put a used mobile home on it for $17,000; purchase the 4 camper lots for $50,000, rent them out and have an income of up to $2000 per month plus your Social Security and any retirement pay you have coming.
Since you are so close to Lake Bob Sandlin, this property provides a great opportunity to go fishin'. Enjoy grillin' your catch over an open fire while you sit back under the open skies and enjoy the star show. Listen to the wind moving through the pine trees that provide wonderful shade in the summer. There are lots of birds in the spring and summer as well as Robins, Blue Headed Warblers, and Black Crows.
Sometimes the white-tailed deer will come by the lake for a drink around sunset.
"Betty and I moved here 3 years ago, and our relationship has tremendously improved due to the peace and quiet we enjoy together."-Betty and Joe Alford.
"The tranquility of the lake and clean air and sunshine have added years to my life. I love it here." -Gary Wilson.
"Harry was always stressed out and it was really starting to affect his overall health when we lived in the city. Now that we live here his blood pressure has gone down. We are eating better. Our quality of life has tremendously improved. We really enjoy living here and wished we had moved here long ago."-Harry and Louise Simpleton.